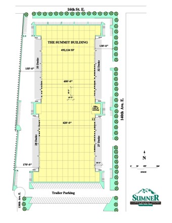
Summit Building


Building Site Plan PDF